Kanton Luzern, Verkehr und Infrastruktur (vif)

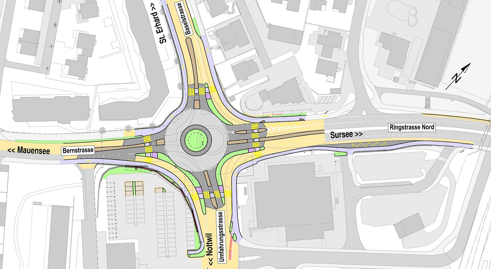
Optimierung Kreisel Chotten, Sursee

Betonkreisel inkl. drei Bypässe, Belagssanierung, div. Werkleitungen

Auftraggeber

Kanton Luzern, Verkehr und Infrastruktur (vif)

Realisation

2010 - 2016

Weitere Beteiligte

Wasserversorgung, Swisscom, CKW, Cablecom

Projektinhalte

  • Betonkreisel dAussen = 38 m
  • Breite Fahrbahn = 9.65 m, Innenring = 2.50 m
  • Betonbushaltebucht Möbel Ulrich
  • Belagssanierung Kantonsstrasse (KSI)
  • Rad- / Gehwege in alle Richtungen
  • Umlegung Mischabwasserkanal ca. 20 m
  • Neubau Strassenentwässerungsleitung ca. 550 m
  • Neubau Wasserleitung ca. 150 m
  • Neubauten diverser Werkleitungen (Swisscom, CKW, Cablecom, Verkehrszählung)
  • Neue Beleuchtung (Abspannmasten)
  • Signalisation und Markierung
  • Bepflanzung

Erbrachte Leistungen

  • Vorstudie
  • Vorprojekt
  • Bauprojekt
  • Ausschreibung
  • Ausführungsprojekt
  • Bauleitung
  • Abschluss/Dokumentation

Besonderes & Facts

  • Bauen unter Verkehr (ohne LSA)
  • Bauphasenplanung
  • 7 Hauptbauphasen / 15 Nebenphasen
  • Ausnahmetransportroute II
  • Betonkreisel mit Ober- und Unterbeton (Waschbeton)
  • Verbreiterung Brückenfahrbahn Chottenbrücke, inkl. Fahrbahnübergänge

Termine

2010 – 2014 Planung

2015 – 2016 Realisierung